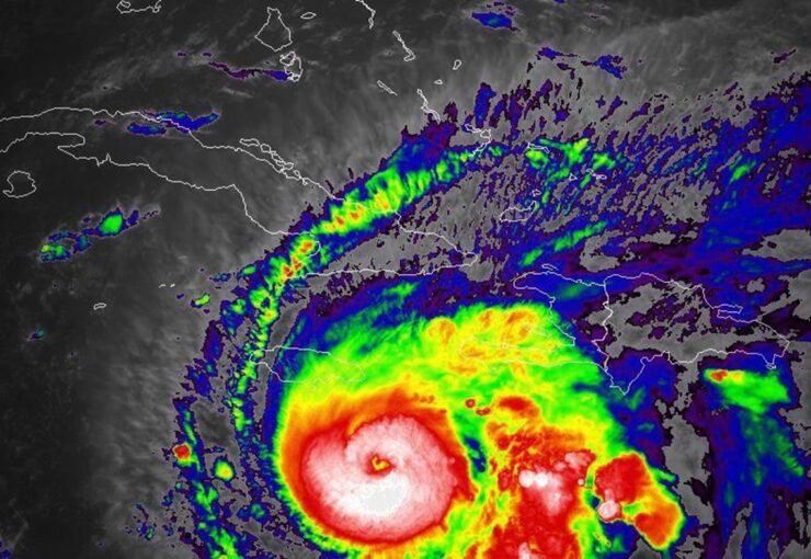
RZ NOTICIAS, SANTIAGO DE CUBA, CUBA. – El huracán Melissa, con categoría 3 en la escala Saffir-Simpson, tocó tierra en la costa sur del oriente de Cuba en la madrugada de este miércoles acompañado de fuertes vientos, intensas lluvias y una gran marejada ciclónica.
Según el Instituto Meteorológico (Insmet) de Cuba, Melissa está atravesando el oriente cubano de sur a norte con vientos máximos sostenidos de 193 kilómetros por hora y dejando intensas precipitaciones, que pueden llegar a acumulados de 450 milímetros (o litros por metro cuadrado) en algunos puntos.
El huracán tocó tierra a las 3.10 hora local (7.10 GMT) por el municipio de Chivirico (este) y avanza actualmente a unos 35 kilómetros por hora.
Tras entre seis y ocho horas en tierra, el pronóstico estima que Melissa saldrá al mar por el municipio de Banes (noreste), aunque sus efectos se seguirán sintiendo en Cuba por otras ocho o diez horas más.
Evacuados
En las seis provincias en alarma ciclónica (Granma, Santiago de Cuba, Guantánamo, Holguín, Las Tunas y Camagüey) se ha evacuado o protegido a 735.000 personas, la mayoría en casas de familiares y amigos, aunque algunos también en refugios. Suponen más del 7,5 % de la población nacional y casi el 18 % de los habitantes de esas seis provincias.
Además, en toda la región oriental se ha paralizado el transporte público terrestre, marítimo y aéreo; se ha suspendido la actividad docente y se han asegurado infraestructuras estatales y cultivos.
Dos de las siete centrales termoeléctricas del país, la columna vertebral del Sistema Eléctrico Nacional (SEN), se han detenido ya por seguridad, al encontrarse en el camino de Melissa y ante el temor de que sufran desperfectos. Hay que tener en cuenta que son infraestructuras obsoletas y con un déficit crónico de inversiones.
Melissa atravesó este martes Jamaica como huracán de categoría 5, provocando graves desperfectos en la infraestructura y dejando sin electricidad a más de 530.000 personas, además de aislar a varias comunidades por los daños en las carreteras.
El presidente de Cuba, Miguel Díaz-Canel, ha pedido responsabilidad y precaución a la población, y advertido que ésta «será una noche muy difícil» para todo el país.










